1403 FERN
Basic Information
List Status
Active
Property Type
Residential
Address
1403 FERN
LAKELAND, FL 33801
United States
Current Price
$279,900.00
Square Feet
1612
Price Per Square Foot
$173.64
List Office Name
R.E. BROKERAGE & CONSULTATION
List Agent Full Name
Scott Nappier
Subdivision Name
SHORE ACRES
Interior Information
Appliances
Built-In Oven, Dishwasher, Disposal, Dryer, Electric Water Heater, Microwave, Range Hood, Refrigerator, Washer
Bedrooms
4
Bathrooms
2
Bathrooms Full
1
Bathrooms Half
1
Cooling
Central Air
Flooring
Carpet, Porcelain Tile, Tile
Heating
Central, Electric
Interior Features
Ceiling Fan(s), Crown Molding, Dry Bar, Eating Space In Kitchen, Stone Counters, Thermostat, Walk-In Closet(s)
Utilities
Cable Available, Electricity Connected, Phone Available, Sewer Connected, Water Connected
Exterior Information
PropertySubType
Single Family Residence
Construction Materials
Vinyl Siding, Wood Frame, Wood Frame (FSC Certified), Wood Siding
Exterior Features
Private Yard
Foundation Details
Block, Crawlspace, Stilt/On Piling
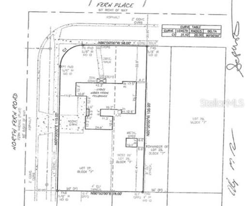
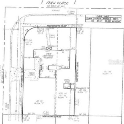
Lot Size Acres
0.24
Lot Size Square Feet
10441
Roof
Built-Up, Shingle
Additional Information
Country
US
County / Parish
Polk
Postal Code
33801
Street Name
FERN
Street Number
1403
Street Suffix
PLACE
Tax Year
2024
Total Acreage
0 to less than 1/4
Year Built
1950
Financial and Legal Information
Cumulative Days On Market
65
Days On Market
65
Flood Zone Code
X
Flood Zone Date
December 12, 2016
Flood Zone Panel
12105C0320G
List Price
$279900.00
Listing Contract Date
November 11, 2025
Original List Price
304999
Parcel Number
242817193000007270
Special Listing Conditions
None
Tax Annual Amount
3701.14
Tax Book Number
7-15
Tax Lot
27
Zoning
RA-3
Tax Legal Description
SHORE ACRES PB 7 PG 15 BLK 7 LOTS 27 & W 28 FT OF 28